Alternaria Leaf Spot
Alternaria spp.
Key Features

  • Leaf drop or dieback
  • Black, velvety spore masses
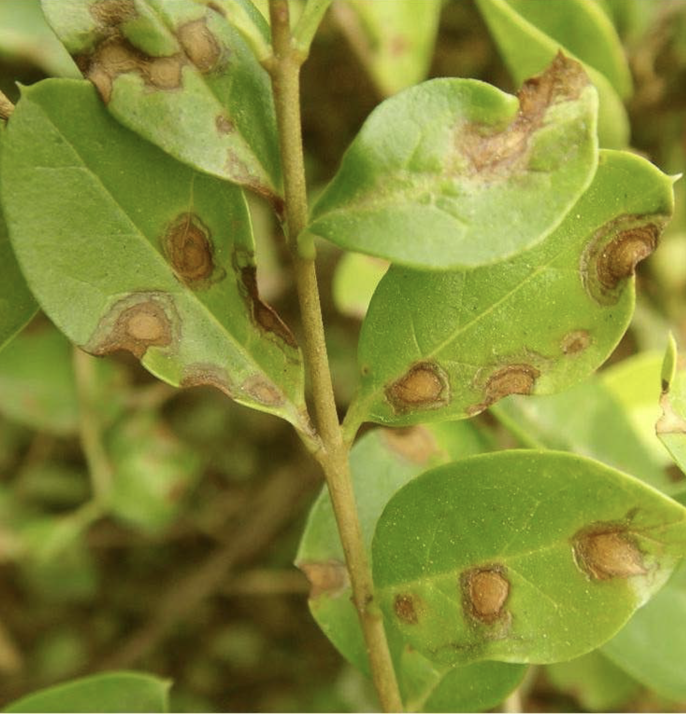
Alternaria leaf spots (crabapple)
Alternaria leaf spots (crabapple)
Golden privet with Alternaria
Golden privet with Alternaria
Symptoms

Alternaria species cause leaf and stem spots, leaf drop, and, in rare cases, leaf blight or dieback. Spot size, shape and edge characteristics vary depending on the specific host/ Alternaria species combination. 'Target' or 'bulls-eye' spots with alternating light and dark rings are most typical. Spots may be surrounded by a yellow halo and/or be covered in a black, velvety mass of spores. Similar spots and rot may appear on fruit if cool, wet conditions are present during fruit development. Severe infections can result in defoliation or collapse of the entire plant.

Biology

Alternaria spores are produced in the spring on previously infected leaf litter and plant debris. Spores are wind blown and splashed to susceptible hosts. Infection will occur when temperatures are near 70 degrees F and relative humidity is high or the plant is wet. These new infections will produce spores that cause leaf spots on nearby susceptible plants. Alternaria overwinters on previously infected leaf litter and plant debris.

Management Recommendations

Whenever possible, reduce overhead watering and keep leaves as dry as possible. Correct fertilization, irrigation, and soil drainage will increase plants' natural defense against the disease. Remove and destroy all Alternaria infected plants and plant debris to reduce the spread of disease and number of overwintering spores. Several fungicides are labeled for homeowner use for the control on Alternaria leaf spot. These chemicals can only prevent new infections and must be continually applied while temperatures are between 55 and 80 degrees F. Always read and follow the directions on the product label.

Effective Pesticides

Active Ingredients include: Chlorothalonil, Copper salts, Myclobutanil, Propiconazole, Sulfur

Resources

landscape report
Purdue Landscape Report
PPDL
Plant & Pest Diagnostic Laboratory