Key Features
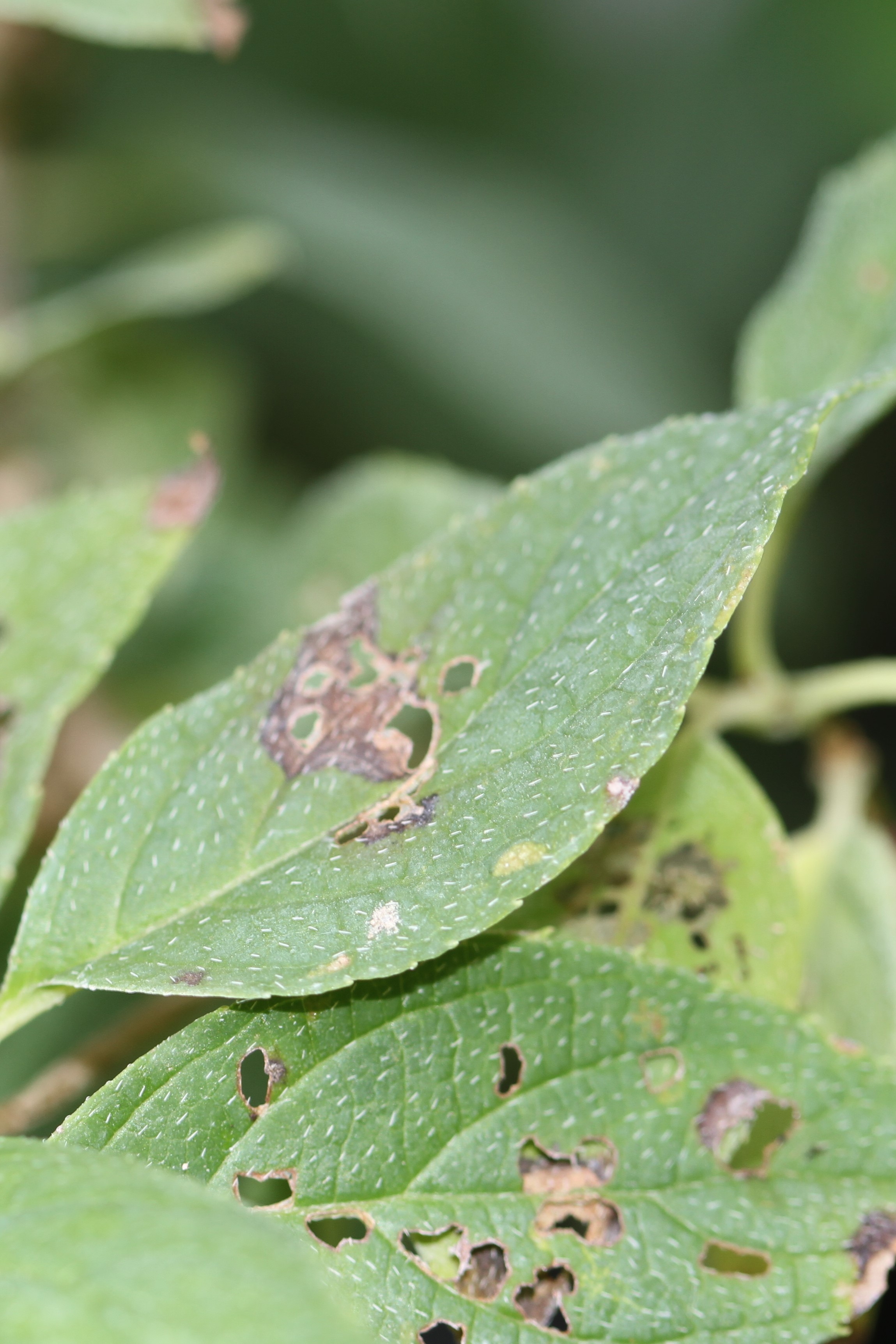
- Holes between veins in leaves
- Shiny red beetles with black heads
- In nurseries and new plantings
Symptoms
Adult beetles chew holes in between the veins of young tender leaves. Holes are not as extensive as the skeletonization caused by Japanese beetles. Mostly a problem in container grown plants and in new landscape plantings. Plants with damaged leaves are difficult to sell. Creamy white larvae feed on roots, but do not cause significant damage.
Biology
Eggs overwinter in soil and hatch in spring. Creamy white larvae hatch from eggs and are easily found at the edge of moist root balls in container grown plants. Adults emerge from soil when inkberry holly is in bloom. A second generation of larvae present in mid summer become the adults that lay the overwintering eggs in soil in late summer. We have seen all three stages in container grown plants in mid summer.
Management Recommendations
Infestations rarely last long in well-tended landscape with a proper weed management program. Unsightly damage can be reduced with a foliar insecticide when adult beetles are detected in the landscape. Nurseries producers can get successful control by regular foliar sprays of insecticides or by targeting larval stages in spring with a soil-applied systemic insecticide such as imidacloprid, or cyantraniliprole (at about 250 growing degree days base 50). At this time larvae can be easily found at the edges of moist root balls of container-grown plants.
Effective Pesticides
Active Ingredients include: Acephate, Azadirachtin, Bifenthrin, Carbaryl, Cyfluthrin, Imidacloprid
Resources
- Not satisfied with ID? Contact the Purdue Plant and Pest Diagnostic Lab
- Sign Up for the Purdue Landscape Report

